就在今年9月,世界气象组织发出预警:拉尼娜现象可能从今年9月起重新回归,影响未来数月的全球天气和气候状况。这意味着继今年年初的"弱拉尼娜"之后,2025年可能出现双重拉尼娜事件。
而今年夏天,我国刚刚经历了有气象记录以来最热的夏季,全国平均气温达到22.31℃,超过了2024年创下的历史纪录。
面对这样的气候背景,一个问题自然而然地浮现:这个冬天,我们会迎来极寒吗?

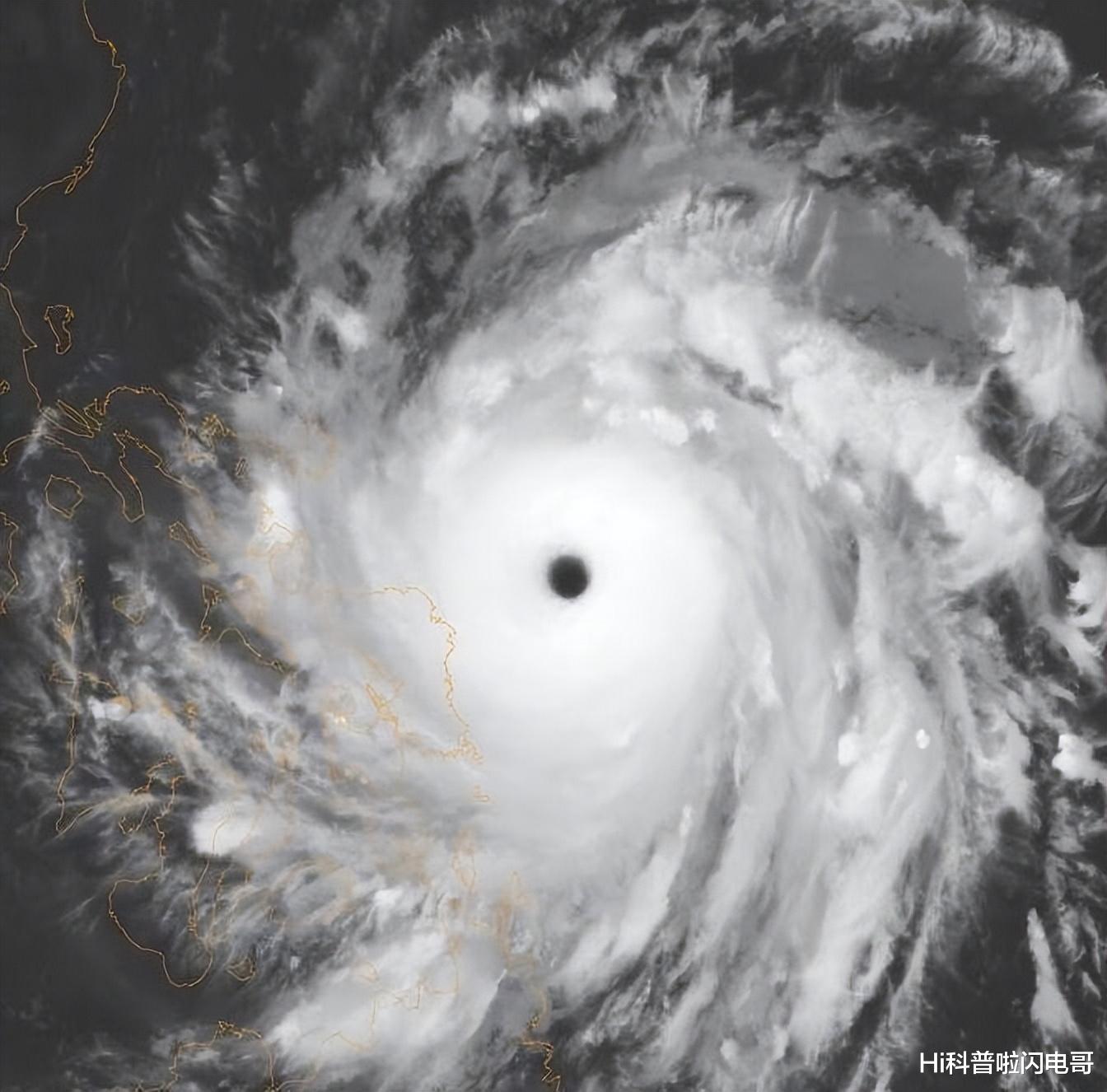
说起拉尼娜,很多人可能觉得陌生,但它其实是影响全球气候的"大boss"之一。简单来说,拉尼娜就是赤道中东太平洋海水异常变冷的现象,它会像多米诺骨牌一样引发连锁反应,搅动全球的大气环流。
今年的情况确实有些特殊。年初时我们经历了一波"弱拉尼娜",但它来得比预期晚,强度也不算太猛。到了年中,气候系统一度转为中性状态,拉尼娜的概率还被中性给反超了。

然而现在,世界气象组织又发出警告,9月到12月期间,拉尼娜现象重新回归的可能性很大,而厄尔尼诺出现的概率则微乎其微。
这种"一年两次拉尼娜"的双重模式并不常见。从气候学角度看,正常的厄尔尼诺-南方涛动循环周期大约是3到5年,但近年来这个规律正在被打破。
2020年到2023年,我们刚刚经历了一次罕见的"三重拉尼娜"事件,连续三年的拉尼娜现象创下了21世纪的纪录。而如今,双重拉尼娜又要登场,这种频繁的出现本身就透露着气候系统的不寻常。

不过话说回来,虽然拉尼娜要回归,但这次的强度可能不会太猛烈。根据目前的预测,这波拉尼娜维持的时间不会太长,很可能在几个月后又会减弱。
即使在拉尼娜影响下,世界气象组织依然预测9月到11月期间,北半球的大部分地区气温仍将高于平均水平。这说明什么?拉尼娜的"降温效果"似乎没有想象中那么强了。
冬天真会极寒吗?2025年的夏天绝对可以用"火力全开"来形容。我国大范围地区被副热带高压牢牢控制,40度高温成了家常便饭。全国平均气温22.31℃,不仅打破了2024年的纪录,更是1961年有完整气象记录以来的历史最高值。

这时候,民间就流传起一个说法:"夏季有多热,冬季就有多冷。"乍一听好像挺有道理,毕竟气候系统追求平衡嘛。再加上拉尼娜这个"制冷机"即将启动,很多人开始担心今年冬天会不会格外寒冷。
从历史数据看,这种担心确实有一定依据。自1950年以来,我国共出现了20个"拉尼娜年",其中有17年冬季平均气温确实偏低,概率高达85%。拉尼娜现象会加强西伯利亚高压,让更多冷空气南下,这在过去确实经常导致我国出现寒冬。

但是,时代变了。近年来的情况显示,即使在拉尼娜影响下,冬季的表现也变得复杂多变。2020-2023年的三重拉尼娜期间,虽然确实出现了一些极寒天气,但从整体来看,全球气温依然维持在历史高位。这个现象背后的原因很简单:全球变暖的大趋势已经强大到连拉尼娜都难以完全压制。
就拿具体数字来说吧,即使在最强的拉尼娜年份,全球气温的下降幅度通常也只有0.1到0.2摄氏度,而过去几十年全球变暖的幅度已经超过了1摄氏度。这就像在一个持续升温的房间里开了台小风扇,虽然能感受到一丝凉意,但房间的整体温度依然在上升。

很多人以为拉尼娜就是冬季气候的"总指挥",但实际情况远比这复杂。我国的冬季气候就像一个复杂的交响乐团,拉尼娜只是其中一个重要的"乐器",还有很多其他"演奏者"在同时发声。
首先是北极涛动,这个听起来高大上的名词其实描述的是北极地区气压的周期性变化。当北极涛动处于负位相时,极地的冷空气更容易向南扩散,给中纬度地区带来寒潮。而当它处于正位相时,冷空气就被"锁"在北极,中纬度地区反而会比较温暖。

然后是欧亚大陆的积雪情况,雪覆盖面积的大小会影响地面的反射率,进而影响当地的能量平衡。积雪多的地方会反射更多阳光,保持相对低温,同时也会影响大气环流的模式。
季风系统也很重要,亚洲季风的强弱变化会直接影响我国的降水和温度分布。而这个季风系统本身又受到印度洋海温、青藏高原积雪等多个因素的共同影响。
更别提近年来越来越活跃的极地涡旋了。当平流层的极地涡旋不稳定时,就可能出现"极地涡旋南下"的情况,给原本温和的地区带来突如其来的严寒。2021年美国德克萨斯州的"世纪寒潮"就是这样造成的。

正是因为有这么多"演奏者"同时在台上,所以即使拉尼娜很强,最终的"演出效果"也可能出乎意料。有时候各种因素相互抵消,冬天反而比较温和;有时候它们叠加在一起,就可能造成极端的寒冷天气。
更重要的是,全球变暖这个"背景音乐"一直在播放,而且声音越来越大。在这种背景下,所有的气候因子都在发生微妙的变化。比如,全球变暖会导致北极地区升温更快,减小南北温差,这可能让极地涡旋变得更不稳定,有时候反而会增加极端寒潮的风险。

站在2025年回望过去几年,我们不得不承认一个现实:气候系统正在进入一个新的状态。传统的经验和规律正在失效,取而代之的是越来越难以预测的极端天气。
今年夏天的高温就是个典型例子。按理说,年初的拉尼娜应该对全球气温有一定的抑制作用,但现实是我们经历了有记录以来最热的夏季。这背后的原因是多方面的:持续的温室气体排放、海洋热量的不断积累、以及各种正反馈机制的启动。

当前的碳排放水平已经让全球平均气温比工业化前上升了约1.5摄氏度,这是《巴黎协定》设定的关键阈值。一旦突破这个临界点,气候系统可能会触发更多不可逆的变化。比如格陵兰冰盖的加速融化、亚马逊雨林的大面积枯死、永久冻土的大规模融化等等。
在这种背景下,无论是拉尼娜还是厄尔尼诺,它们的影响都被放大了。我们看到的不再是温和的季节性变化,而是越来越极端的天气事件。夏天可能热得让人无法忍受,冬天则可能出现突如其来的极寒。春秋两季变得越来越短,气候的过渡期被压缩,极端天气的持续时间却在延长。

从这个角度看,"夏季有多热,冬季就有多冷"这个说法倒不是完全没有道理,只不过原因不是简单的气候平衡,而是气候系统整体的不稳定性在加剧。
所以,对于即将到来的冬季,我们既不应该掉以轻心,也不必过度恐慌。双重拉尼娜的确可能带来阶段性的降温,但它更可能表现为间歇性的寒潮,而不是持续的严寒。关键是要做好应对各种极端天气的准备,因为在气候变化的时代,"极端"正在成为新的"正常"。

最终,真正的解决之道还是要回到源头——控制温室气体排放,减缓全球变暖的速度。毕竟,我们只有一个地球,没有"plan B"可以选择。